Sapere se i tarli del legno è un buon modo per comprendere se in casa o in altri ambienti chiusi è presente un’infestazione in corso e quanto essa si può propagare in base alla capacità di spostamento di questi insetti xilofagi.
Infatti, i tarli possono attaccare e danneggiare mobili, travi, pavimenti, tavoli, sedie in legno all’interno di edifici pubblici e privati e la capacità di volare consente loro di spostarsi da un luogo all’altro, continuando la loro attività se trovano le condizioni ideali per svolgerla.
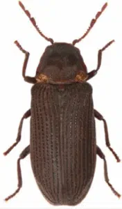
Quando si avvista un tarlo, si possono notare delle ali che sono chiamate elitre. Questa parte del loro corpo è suddivisa in due coppie di ali: le prime sono rigide e sono difficili da vedere perché il colore riprende quasi sempre quello del suo intero corpo ed hanno la funzione di proteggere le seconde più sottili ma che consentono a questo coleottero di volare.
Vediamo insieme quando i tarli volano, perché è importante saperlo e cosa fare se si avvistano questi insetti che possono creare gravi danni ai propri manufatti in legno, per evitare perdite economiche e problemi di salute per sé e per i familiari che vivono in una casa infestata da loro.
I tarli del legno volano
Come abbiamo anticipato precedentemente, i tarli del legno volano e lo fanno dopo aver praticato i fori di sfarfallamento ed essere usciti dai manufatti attaccati, ormai adulti e pronti a ricercare nuovi partner con i quali riprodursi e ricominciare il ciclo biologico, infestazione compresa.
Infatti, il periodo più frequente in cui è possibile vedere dei tarli volare negli ambienti chiusi è quello che va da maggio ad agosto, la fase in cui sono adulti e ci sono le condizioni di caldo ed umidità perfette per poter proliferare e trovare posti in cui sviluppare le nuove generazioni.
Allo stesso tempo, bisogna dire che l’avvistamento dei tarli del legno non è semplice in quanto, soprattutto rispetto ad altri insetti, non sono dei grandi volatori e le distanze percorse sono davvero limitate, ma questa capacità è sufficiente per raggiungere i loro scopi.
I tarli volano per brevi distanze e molto spesso si muovono camminando, ad esempio il capricorno delle case è uno dei coleotteri che percorre distanze più lunghe, potendo passare da un edificio all’altro durante le giornate caratterizzate dalla presenza di caldo e sole.
Il volo dei tarli nel ciclo biologico
Il volo dei tarli nel ciclo biologico si attesta nella fase adulta, quando le larve hanno terminato di nutrirsi della cellulosa ricavata dall’attività di scavo svolta all’interno dei manufatti in legno e, dopo l’impupamento e lo svernamento, sfarfallano da essi ed escono fuori pronti per riprodursi.
Infatti, l’emersione dei tarli adulti dai beni infestati è il risultato della loro crescita che avviene con tempi diversi a seconda del tipo di coleottero e dalle condizioni di temperatura ed umidità preferite per il loro sviluppo, pronti per volare.
Avvistare i tarli che volano può capitare solo per qualche settimana in quanto gli adulti, dopo l’accoppiamento, vivono per poco tempo e, oltre all’accoppiamento, si librano in aria alla ricerca di un luogo adatto per trovare riparo alle uova che rappresentano la nuova generazione di questo coleottero.
Inoltre, i tarli del legno che volano possono essere visti durante i mesi caldi ed umidi che cambiano in base alla propria posizione geografica, e molti di questi insetti xilofagi preferiscono farlo quando il sole tramonta e durante le ore notturne all’interno di spazi chiusi, luoghi più tranquilli e sicuri per compiere le loro funzioni.
Perché i tarli volano?
I tarli del legno volano per ricercare partner con cui accoppiarsi e spostarsi da un manufatto all’altro per trovare un luogo riparato ed adatto per proteggere le uova da depositare e garantire la futura generazione in grado di infestare nuovamente i beni lignei della casa.
Infatti, i tarli volano in casa e lo fanno in maniera goffa ed irregolare a causa della loro struttura corporea molto pesante che non consente alla spinta data dalle loro elitre di muoversi agilmente e velocemente da un posto all’altro dell’abitazione.
Inoltre, i tarli si vedono volare raramente in quanto preferiscono muoversi in spazi piccoli e bui come quelli di cantine, soffitte e magazzini e difficilmente il loro volo può essere notato in stanze illuminate dalla luce del sole perché vogliono proteggere se stessi e loro uova dai predatori.
Se si riesce a notare i tarli volare vuol dire che stanno percorrendo una distanza al massimo di qualche metro, ovvero il percorso necessario per cambiare mobile, trave o altro manufatto in legno da infestare e danneggiare.
Cosa fare se si vedono i tarli che volano
Il rumore dei tarli che scavano nel legno, i fori di sfarfallamento, il rosume ed esemplari adulti a terra assieme a questi insetti che volano sono i segnali della loro presenza e di una infestazione in corso o già in uno stato avanzato. Per questi motivi, il monitoraggio delle aree e dei beni vicini a questi segni è utile per adottare alcune misure preventive, come ad esempio spostare e sigillare i manufatti per evitare che altri tarli possano volare via e propagare i loro effetti con la deposizione di altre uova. I tarli che volano sono anche utile per capire il tipo di coleottero presente ed in questo modo i nostri esperti potranno applicare il metodo più adatto di disinfestazione tra:
- il trattamento antitarlo a infrarossi, le onde lunghe prodotte dal tessuto nanotecnologiche riescono a propagare un calore a temperatura controllata da una centralina capace di eliminare la presenza di uova, larve, pupe e adulti anche dalle parti più complicate da raggiungere dei manufatti, senza danneggiare il legno e l’uso di insetticidi. Questo consente di fruire di una soluzione che non danneggia la salute di persone ed animali domestici, rendendo subito riutilizzabili gli ambienti trattati;
- il trattamento antitarlo a microonde, il calore compreso tra i 50 ed i 60 gradi applicato sul legno infestato dai tarli in maniera costante e frutto delle onde elettromagnetiche generate da attrezzature altamente tecnologiche consentono di abbattere questi coleotteri in ogni fase del loro ciclo biologico, anche nella versione a campana per circoscriverle solo sulle parti colpite, senza l’impiego di sostanze chimiche;
- il trattamento antitarlo anossico sconfigge i tarli per disidratazione, asfissia e perdita dei liquidi vitali grazie alla chiusura sigillata dei beni da loro infestati all’interno di camere ermetiche o film plastici all’interno dei quali viene tolto l’ossigeno e immessi azoto ed anidride carbonica entro tre settimane. Può essere necessario lo spostamento dei manufatti attaccati da questi insetti xilofagi in luoghi che abbiano tutto il necessario per applicare questo metodo.
Non esitare a contattarci per ricevere una consulenza gratuita! Siamo pronti a capire quale tarlo infesta i tuoi ambienti e quale soluzione applicare per liberartene definitivamente. Ti proporremmo un preventivo dettagliato comprensivo di servizi offerti e relativi costi ed interverremo dopo la sua accettazione. Ci occuperemo della disinfestazione tarli del legno da travi, travetti, architravi, corrimano, balaustre, boiserie, strumenti, opere d’arte, cornici, parquet e pavimenti in legno, mobili antichi e moderni, archi, mensole, cassettoni, porte, coprifili, infissi, archivi cartacei e documentali, panchine, scaffali, arredi murati che si possono trovare in casa, ufficio, negozi, bar, ristoranti, musei, biblioteche, chiese, magazzini, depositi, ospedali ed altre strutture pubbliche e private. Compila il form, chiama il numero verde o scrivici su WhatsApp per fissare un appuntamento ed avere l’aiuto dei nostri esperti contro i tarli del legno!





