
Il Phymatodes testaceus è un tarlo del legno della famiglia dei Cerambicidi, originario dell’Eurasia e che è diffuso largamente nei Paesi asiatici ed europei, Italia compresa, ma anche nell’America settentrionale e nell’Africa del Nord.
Questo coleottero può assomigliare ad uno scarafaggio o a una blatta, ma in realtà è un tarlo che scava nella parte superficiale del legno di alberi in decadenza, nel legname accatastato nei magazzini e nella legna domestica da ardere.
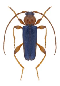
La colorazione di questo tarlo varia in base alla provenienza, le sue elitre sono blu ed il dorso rosso scuro per gli esemplari dell’Europa centrale, mentre sono rispettivamente giallo scuro e rosso per quelli dell’Europa meridionale. Inoltre, la variazione cromatica la si può notare anche per la colorazione delle zampe, che vanno dal giallo al marrone fino al nero.
Il Cerambicide in questione è polifago nella scelta del legno e degli alberi decidui da colpire, conifere e latifoglie, ma preferisce la quercia e svolge la sua attività soprattutto di notte, durante il giorno si nasconde nella corteccia e sono attratti dalla luce.
Il ciclo vitale del Phymatodes testaceus

Il ciclo vitale del Phymatodes testaceus dura un anno nei Paesi dai climi umidi, due anni per quelli più secchi, preferendo i climi caldi e asciutti. Le femmine depositano le piccole uova di 1 millimetro in gruppi all’interno delle fessure della corteccia, formando delle colonie.
Dopo la schiusa delle uova, le larve iniziano a scavare nel legno gallerie arrivando fino alla sua parte più morbida, l’alburno, all’interno del quale si rifugiano e creano un tunnel più grande in cui durante la primavera si impuperanno. I piccoli producono una ingente e granulare rosura.
Le larve sono lunghe anche 18 millimetri nella fase finale della loro crescita e cosa rara per i piccoli delle altre specie di tarlo, riescono a digerire la lignina. Invece, le pupe sono lunghe 9 millimetri e completano immobili e senza nutrirsi la loro trasformazione in adulte.
Gli adulti escono attraverso i fori di sfarfallamento larghi dai quattro ai sette millimetri di diametro in un periodo di tempo compreso tra maggio e luglio, con picchi a metà giugno, sono lunghi 16 millimetri e sono pronti per trovare partner con i quali riprodursi.
La disinfestazione del Phymatodes testaceus

Il Phymatodes testaceus preferisce attaccare i rami secchi degli alberi, il legno tagliato da poco e quello mal stagionato, causando in quest’ultimo caso importanti danni strutturali. Per preservare sia l’integrità delle tue abitazioni che il legno presente nei magazzini di chi lo lavora che viene danneggiato a livello superficiale, è necessario l’intervento di professionisti per applicare un trattamento antitarlo adeguato. I nostri esperti utilizzano i seguenti metodi di disinfestazione:
- a microonde, che utilizza le onde elettromagnetiche per raggiungere ed abbattere le larve presenti nelle profondità del legno;
- a campana, che protegge la parte del legno non ancora colpita dall’infestazione dei tarli;
- termico, che impiega le alte temperature per sterilizzare il legno infestato ed uccidere le larve presenti;
- antitarlo infrarossi, che usa una strumentazione tecnologica per colpire mediante le onde lunghe i tarli che infesto del legno ed eliminarli in ogni stadio della loro esistenza.
Non esitare a contattarci per richiedere la consulenza gratuita dei nostri professionisti! In questo caso, effettueremo un sopralluogo per verificare la reale presenza dei tarli e proporre un preventivo senza impegno che descrive in maniera dettagliata costi e servizi offerti. Se lo accetterai, eseguiremo la disinfestazione tarli del legno per liberarti degli insetti infestanti. I nostri esperti scelgono il trattamento antitarlo più adatto, in base al grado di infestazione ed al tipo di coleottero all’interno del legno. Scegli il nostro team per risparmiare denaro e proteggere l’incolumità dei tuoi familiari con i nostri interventi contro i tarli.





