
Il Nacerdes Melanura è un tarlo del legno diffuso in tutto il Mondo, anche se scarseggia nelle aree tropicali in quanto lo sviluppo delle sue uova non sopporta le temperature superiori a 35 gradi ed un tasso di umidità oltre il 20 per cento.
Questo coleottero è anche conosciuto con il nome di tarlo dei pontili, è originario della zona che comprende l’Africa del Nord, l’Europa, l’Asia minore ed il Medio Oriente, colpisce il legno di corsi d’acqua e coste e si trova anche in Italia.
Infatti, questo tarlo attacca il legno umido di manufatti e le parti delle piante in decomposizione e sui cui hanno proliferato i funghi, privilegiando i legni teneri, ma si è rilevata la sua presenza anche su quelli tenere, come il fico e l’eucalipto.
Le larve di questa specie sono considerati come parassiti secondari in quanto colpiscono il legno già infestato, con un elevato grado di decomposizione da funghi e lambito da acque dolce e salate soggette alle maree, resistendo anche sotto l’acqua.
Il ciclo vitale della Nacerdes Melanura

Le femmine di Nacerdes Melanura depongono le loro uova, bianche, ricurve ed affusolate, sulla superficie del legno con una temperatura per il loro sviluppo che deve essere compresa tra i 20 ed i 30 gradi ed un’umidità relativa tra il 20 ed il 40 per cento. Esse si schiudono in un periodo che va dai cinque ai dieci giorni se le condizioni ambientali sono ideali, altrimenti ci vuole più tempo, in particolare se il legno è sottoposto ad essicazione o immersione.
Appena nate, le larve, bianche e con mandibole marroni, scavano gallerie nel legno umido e bagnato fino ad un centimetro di profondità e una volta cresciute possono arrivare al cuore del legno, arrivando fino a trenta centimetri. I piccoli mangiano la cellulosa del legno ed il loro sviluppo può durare da due mesi a due anni, a seconda della temperatura, dell’umidità e del valore nutritivo del legname, ma in condizioni ideali ci mettono una sola stagione.
Una volta cresciute di dimensioni, solitamente in primavera, le larve si impupano sulla superficie del legno a temperature comprese tra i 10 ed i 30 gradi, ed arrivate allo stadio adulto passano da una a tre settimane nel legno prima di passare dai fori di sfarfallamento anche in sciame con altri esemplari in cerca di partner con i quali riprodursi.
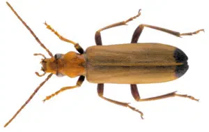
Gli adulti vivono al massimo un paio di settimane tra i mesi di maggio e settembre, si nutrono del polline dei fiori e svolgono la loro attività prevalentemente durante il giorno. Il loro corpo è lungo e sottile, grande al massimo 14 millimetri, color ruggine, con le elitre che presentano tre scanaluture sulle punte di coloro nero ed antenne lunghe la metà del corpo.
La disinfestazione della Nacerdes Melanura

La Nacerdes Melanura attacca prevalentemente il legno bagnato e con un alto livello di decomposizione, aiutando a completare il suo deperimento. Questo fa sì che questo tarlo sia dannoso per le strutture di navi, pontili e moli, diventando nemici di marinai, pescatori e cavatori, rischiando incidenti se non si riparano le imbarcazioni e le banchine. Le larve si nutrono del legno marcio di pino, pioppo e quercia, indebolendone la struttura e possono scavare anche pali, recinzioni, palafitte, moli, costruzioni sull’acqua e nel legname dei magazzini. Nelle abitazioni questi tarli possono sbucare dai pavimenti, vengono spesso scambiati per scarafaggi, nel legno dei bagni e sulle superfici lignee umide poste al chiuso. Si possono trovare degli adulti volati via e morti a terra ma servono dei professionisti del settore come i nostri per rilevarne la presenza nel legno e applicare il giusto trattamento antitarlo. Il nostro team potrà utilizzare i seguenti metodi:
- a microonde, che impiega le onde elettromagnetiche per eliminare le larve che infestano il legno;
- a campana, che salvaguardano le parti del legno non ancora attaccate dai tarli;
- termico, che usa il calore per sterilizzare le zone del legno attaccate ed abbattere le larve presenti;
- antitarlo infrarossi, che adopera pannelli termici in grado di emettere onde lunghe sul legno capaci di eliminare i tarli in ogni fase della loro evoluzione biologica.
Non esitare a contattarci per ricevere una consulenza gratuita! La nostra squadra effettuerà un preventivo e valuterà se è reale la sospetta infestazione. Se è così, ti proporremo un preventivo con una descrizione dettagliata di costi e servizi e, se lo accetterai, procederemo con la disinfestazione tarli. Il trattamento antitarlo scelto sarà quello adatto al tipo di coleottero infestante ed al grado di infestazione presente nel legno. Non attendere oltre e proteggi i tuoi beni in legno e risparmia denaro grazie all’intervento dei nostri professionisti qualificati nell’abbattimento dei tarli Nacerdes Melanura.





