Il Nicobium castaneum ed il Nicobium hirtum sono due tarli che vengono chiamati anche tarli delle biblioteche in quanto infestano il legno di abete presento all’interno di questi luoghi.
Infatti, queste due specie trovano un luogo fertile per stabilirsi all’interno delle biblioteche, nelle quali possono trovare mobili ed altri manufatti in legno quando la temperatura è calda e umida, che come per il tarlo dei mobili, sono le condizioni ottimali.
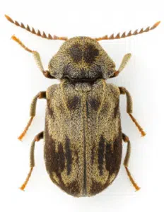
Questi due insetti sono molto simili, hirtum ha differenza del castaneum presenta strisce trasversali di peli grigi sulle elitre, mentre quest’ultimo ha il corpo di colore marrone.
Invece, entrambi gli insetti infestanti del legno sono lunghi dai 4 ai 6 mm e le loro femmine depongono dalle 20 alle 60 uova a covata all’interno delle fenditure del legno.

Le caratteristiche del Nicobium castaneum
Il Nicobium castaneum è chiamato tarlo delle biblioteche in quanto oltre a colpire il legno tenero o ammuffito dei vecchi mobili di stanze troppo riscaldate, attacca anche la carta presente all’interno di questi ambienti, preferendo gli scaffali ed il cuoi delle rilegature dei libri.
L’insetto in questione vive in zone calde e con umidità, è termofilo, ma sono le sue larve, di colore bianco e di 4-5 mm a scavare nel legno dopo la schiusa delle uova, creando un consistente numero di gallerie molto fitte e ravvicinate. Preferisce nutrirsi dell’abete, di legni umidi e che presentano funghi e muffe.
Avvicinandosi alla maturità, le larve si impupano in una cella nel legno e dopo aver completato la loro trasformazione, gli adulti sfarfallano dal legno nei mesi più caldi, da maggio a settembre, misurano dai 4 ai 6 mm di lunghezza e sono di colore bruno rossastro.
Il loro ciclo vitale dura 2 o 3 anni ed è molto simile per tempi a quello dell’ Anobium punctatum, Oltre, il legno preferisce rosicchiare e mangiare anche la cellulosa presente nella carta dei libri.
Il Nicobium hirtum si può trovare assieme all’ Anobium punctatum
Il Nicobium hirtum si rivolge principalmente al legno delle latifoglie come quello di faggio, noce, ontano e pioppo, e di conifere, come quello di pino ed abete.
Il tarlo in questione è difficile da osservare, in quanto è notturno e la sua attività la svolge in questo lasso di tempo, mentre durante il giorno rimane immobile.
Allo stesso tempo, questo insetto lo si può trovare in coabitazione con l’Anobium punctatum, in quanto colpisce le stesse tipologie di legno.
Questo coleottero è tra i più dannosi per gli oggetti ed gli arredi antichi in legno, ma anche per gli archivi e le librerie in quanto i suoi piccoli distruggono la carta.

Quali sono i danni dei tarli delle biblioteche
I danni di questi tarli colpiscono soprattutto mobili antichi e di grande valore causati dalle gallerie piene di rosume da loro scavate, in quanto penetrano rapidamente all’interno del legno.
Inoltre, questi insetti si insidiano anche nei legni di travi e tavolati dei tetti e dei soffitti, minandone dal loro interno la loro struttura, vivendo bene dove la temperatura è calda e negli ambienti che presentano la giusta umidità.
Nutrendosi anche della carta, questi animaletti fanno danni anche a libri, pergamene e testi antichi, oltre alle scaffalature lignee che li ospitano.
Quindi, per i danni strutturali che provocano, serve l’intervento di professionisti del settore per effettuare la disinfestazione.
Contattaci per risolvere il problema dei tarli Anobidi
Contattaci per disinfestare i tarli del legno e della carta e ricorda che bisogna intervenire prima che gli adulti escano dai fori di sfarfallamento, altrimenti i danni sono già ingenti. Infatti, si nutrono dei legni di tetti e soffitti e dei legni umidi e attaccati e a contatto con le murature. Per eliminarli è necessario applicare il giusto trattamento antitarlo. I nostri metodi sono quelli:
- a microonde, una tecnica innovativa che uccide le larve che hanno infestato il legno;
- a campana, che preserva la parte del legno che ancora non è stato intaccato dai tarli;
- termico, che con il calore, creato grazie all’aria calda, sterilizza la parte del legno che presentano i tarli;
- antitarlo infrarossi, che emette onde lunghe capaci di penetrare nella profondità del legno ed eliminare gli insetti infestanti in ogni stadio del loro ciclo biologico.
Non esitare a contattarci, in quanto l’infestazione può provocare danni strutturali molto importanti. Dopo aver accettato il preventivo gratuito proposto ed eseguito il sopralluogo, il nostro team eseguirà la disinfestazione tarli, utilizzando il metodo più adatto ed in grado di ottenere il risultato migliore.





